Manuscripts
Raab, David : parcel map
You might also be interested in

Raab, David : Raab to Lightfoot parcel
Manuscripts
P. 5 of pinned document, "David Raab shows a map made by Mr. W. Thompson..." showing courses, distances. Title supplied by cataloger.
mssSolano SR_Box_31(17)

Raab, David : Raab & Lightfoot homesteads
Manuscripts
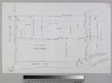
Last page of pinned document, "David Raab shows a map made by Mr. W. Thompson..." showing courses, distances, acreage, Marengo Tract, Fair Oaks St., East Mission St., hachures, structures, landmarks. Title supplied by cataloger.
mssSolano SR_Box_31(17).03
Image not available
Wilmington Street - sketch maps
Manuscripts
Verso of p. 4, p. 6 of pinned document, "Wilmington Street Grade." first sketch shows First Street Widening, between Main & Alameda streets, showing courses, distances; second sketch shows Wilmington Street & Vine with area labeled Morse or Turner street, courses, distances [another sketch on verso may be a profile ?]. Title supplied by cataloger.
mssSolano SR_Box_33(17)
Image not available
Roads: County; to San Gabriel - sketch parcel
Manuscripts
P. 2 of pinned document, "Road to San Gabriel in front of the Ruiz tract..." showing parcel, courses, distances. Title supplied by cataloger.
mssSolano SR_Box_31(33)

Quirolo : sketch map of Dixon & Quirolo parcels
Manuscripts
[Mrs.] J.R. Quirolo & Alby E. Dixon, parcel owners; showing courses, distances (with table on attached page), acreage [see also Map folder 547]. Title supplied by cataloger.
mssSolano SR_Box_31(15)

County Roads to San Gabriel : San Gabrield Road through Ruiz parcel
Manuscripts
P. 3 of pinned document, "Road to San Gabriel in front of the Ruiz tract..." showing Road to San Gabriel, Ruiz parcel, courses, distances, structure, waterway, adjacent parcel owners. Title supplied by cataloger.
mssSolano SR_Box_31(33).03