Manuscripts
Rancho San Pedro: S73 (partition of 1884-1885, report of referees) - Guadalupe Domínguez parcels
You might also be interested in
Image not available
Rancho San Pedro: S73 (partition of 1884-1885, report of referees) - Guadalupe Domínguez parcels
Manuscripts
Within stapled document, "Guadalupe M. Dominguez," pp. 8,11,18,20,23; along San Gabriel River, showing parcel owners, courses, distances, posts, surface details, lot numbers, acreage. Title supplied by cataloger.
mssSolano SR_Box_24(07).09A

Rancho San Pedro : S73 (partition of 1884-1885, report of referees) - Guadalupe Domínguez parcels
Manuscripts
Within stapled document, "Guadalupe M. Dominguez," pp. 8,11,18,20,23; along San Gabriel River, showing parcel owners, courses, distances, posts, surface details, lot numbers, acreage. Title supplied by cataloger.
mssSolano SR_Box_24(07).09C

Rancho San Pedro : S73 (partition of 1884-1885, report of referees) - Guadalupe Domínguez parcels
Manuscripts
Within stapled document, "Guadalupe M. Dominguez," pp. 8,11,18,20,23; along San Gabriel River, showing parcel owners, courses, distances, posts, surface details, lot numbers, acreage. Title supplied by cataloger.
mssSolano SR_Box_24(07).09D

Rancho San Pedro : S73 (partition of 1884-1885, report of referees) - Guadalupe Domínguez parcels
Manuscripts
Within stapled document, "Guadalupe M. Dominguez," pp. 8,11,18,20,23; along San Gabriel River, showing parcel owners, courses, distances, posts, surface details, lot numbers, acreage. Title supplied by cataloger.
mssSolano SR_Box_24(07).09E
Image not available
Rancho San Pedro: S73 (partition of 1884-1885, report of referees) - eastern boundary, Guadalupe Domínguez parcels
Manuscripts
Within stapled document, "Guadalupe M. Dominguez," p. 4; showing courses, distances, parcel owners, extensive surface detailing; stations. Title supplied by cataloger.
mssSolano SR_Box_24(07).08

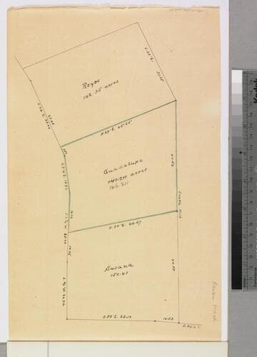
Rancho San Pedro : S73 (partition of 1884-1885, report of referees) - Susana Domínguez parcels
Manuscripts
Part of stapled document, "Allotment to Susana Dominguez..." Showing parcel owners, surface details, color highlighting, courses, distances, acreage. Title supplied by cataloger.
mssSolano SR_Box_24(07).30